Pressão de lagartas no início do ciclo da oleaginosa sinaliza que safra deverá ser desafiadora, afirma pesquisador
Surtos de lagartas como Helicoverpa e Spodoptera sobre biotecnologias de última geração é das mais severas dos últimos anos no atual estágio da safra
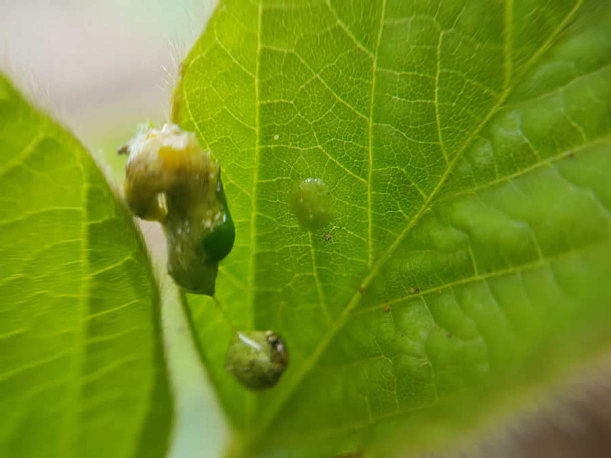
O surto de Helicoverpa spp sobre biotecnologias de última geração de soja, neste momento observado em algumas das principais regiões produtoras, desponta como um dos mais expressivos dos últimos anos em início de safra. Há também registros de presença em larga escala da Spodoptera frugiperda em soja, milho, algodão e pastagem. O alerta vem do pesquisador Germison Tomquelski, mestre e doutor em agronomia da Desafios Agro, de Chapadão do Sul (MS).
Conforme o pesquisador, há relatos de surtos representativos de Helicoverpa e Spodoptera em áreas da Bahia, de Goiás, do Maranhão, Mato Grosso e Mato Grosso do Sul, principalmente.
“A Helicoverpa conta com potencial destrutivo muito grande”, ressalta Tomquelski. “Teremos um ano de muitos desafios. Estamos com uma soja de 45, 60 dias. A cultura não está avançada, mas chegando agora a seu ciclo reprodutivo, a etapa de maior atenção em relação à Helicoverpa. Nessa fase, a lagarta é muito prejudicial, são 36 vagens possíveis a um único indivíduo consumir”, exemplifica ele.
De acordo com Tomquelski, atualmente, as principais recomendações ao produtor são monitorar as lavouras rigorosamente e fazer aplicações de inseticidas nos casos em que a dinâmica populacional de lagartas exigir.
“Frente a uma praga com esse potencial, há preocupações quanto às sobras no sistema. O produtor precisa fazer intervenções conforme a dinâmica populacional, para que não saiam novos indivíduos, novas mariposas e lagartas que ‘pegam’ uma pressão muito forte na época em que a soja tem a vagem. As perdas facilmente chegam de cinco a dez sacas por hectare”, reforça.
Para Tomquelski, apesar de os preços de commodities não se encontrarem em patamares esperados, e o setor viver uma época em que há até mesmo o risco de faltar inseticidas no mercado, “o produtor não pode descuidar, não pode ser pego de surpresa por uma praga que ameace a rentabilidade da lavoura. A perda pode ser pior se ele não investir.”
“Um ponto importante é que neste início de safra muitos produtores estavam despreparados para esses surtos expressivos de lagartas. Ocorre que nos últimos anos a Helicoverpa, por exemplo, havia diminuído, aparecia pontualmente”, continua Tomquelski.
Além dos inseticidas químicos e da prática do manejo de resistência, o pesquisador destaca a relevância adquirida pelos produtos biológicos no manejo efetivo de lagartas como Helicoverpa e Spodoptera. “Os baculovírus têm tido bom desempenho. Trata-se de uma tecnologia eficaz. Entre os biológicos, é um dos mais eficientes”, conclui Tomquelski.
Atuante em toda a fronteira agrícola nacional, a Desafios Agro é uma empresa de alta credibilidade nas áreas de pesquisa agropecuária, integração lavoura-pecuária, projetos técnicos, assistência técnica, palestras e treinamentos. Está sediada nas cidades sul-mato-grossenses de Chapadão do Sul, São Gabriel do Oeste, Bandeirantes e na capital Campo Grande.
Compartilhe:: Participe do GRUPO SEGS - PORTAL NACIONAL no FACEBOOK...:
https://www.facebook.com/groups/portalnacional/
<::::::::::::::::::::>
IMPORTANTE.: Voce pode replicar este artigo. desde que respeite a Autoria integralmente e a Fonte... www.segs.com.br
<::::::::::::::::::::>
No Segs, sempre todos tem seu direito de resposta, basta nos contatar e sera atendido. - Importante sobre Autoria ou Fonte..: - O Segs atua como intermediario na divulgacao de resumos de noticias (Clipping), atraves de materias, artigos, entrevistas e opinioes. - O conteudo aqui divulgado de forma gratuita, decorrem de informacoes advindas das fontes mencionadas, jamais cabera a responsabilidade pelo seu conteudo ao Segs, tudo que e divulgado e de exclusiva responsabilidade do autor e ou da fonte redatora. - "Acredito que a palavra existe para ser usada em favor do bem. E a inteligencia para nos permitir interpretar os fatos, sem paixao". (Autoria de Lucio Araujo da Cunha) - O Segs, jamais assumira responsabilidade pelo teor, exatidao ou veracidade do conteudo do material divulgado. pois trata-se de uma opiniao exclusiva do autor ou fonte mencionada. - Em caso de controversia, as partes elegem o Foro da Comarca de Santos-SP-Brasil, local oficial da empresa proprietaria do Segs e desde ja renunciam expressamente qualquer outro Foro, por mais privilegiado que seja. O Segs trata-se de uma Ferramenta automatizada e controlada por IP. - "Leia e use esta ferramenta, somente se concordar com todos os TERMOS E CONDICOES DE USO".
<::::::::::::::::::::>

Adicionar comentário